葡萄不结果是什么原因
|
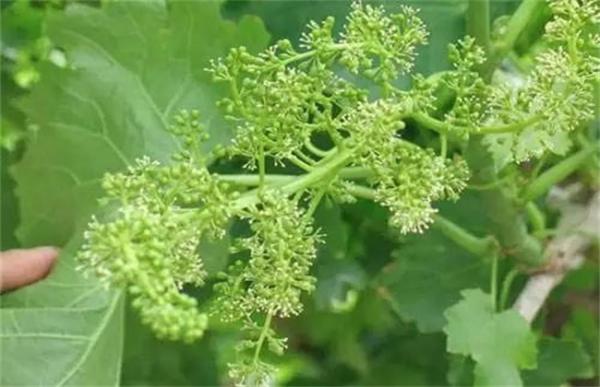
葡萄是我们常见的水果,深受人们喜爱,有些人往往会在自己庭院种植几棵,但是很多人反映自家种植的葡萄树一直没有结果。这时什么原因造成的呢?该怎么办呢?小编为大家总结了一些经验,一起来看看吧。
一、不结果原因 1、品种原因 有些朋友在购买种苗时,可能被商家坑了,买到品质极差的幼苗,在种植后再勤加管理,这种苗也不会结果。 2、时间未到 葡萄尤其自己的结果时间,有些幼苗在购买回来时,苗龄较短,只有1-2年,所以种植管理再好,它也不会那么快结果,到了它结果的时间自然就会结果。 3、肥料不足 种植葡萄是肥料很关键,施足基肥,在夏秋时,就要不断的追施肥料,为了第二年积累养分,这样在第二年春季时才能多萌发更多的枝叶。 4、生长环境不利 自家种植葡萄时,光照和通风比较重要,如果生长在光照不足、通风不良的环境下,它结的果实会一年比一年少,直至不结果。 5、修剪 在春季花芽分化前要修剪一次,在发芽时要追肥一次,追肥要选择有机肥,能为植株提供充分的养分,使其多萌发幼芽,为高产打下基础。 二、解决方法 1、生长期管理 在花芽分化后,如果幼芽过多,适量的抹芽,将一些过多不必要的能使尽早抹除,可减少植株养分消耗。当新梢生长到15-30.厘米时,要及时绑少,同时将卷须摘除;同时要做好摘心,果穗以下的副梢要全部去除,果穗以上的副梢留2叶摘心。开花后要做好花序和果树的袖子,一个结果枝上留一个生长良好的花序即可,其余的疏掉。 2、肥水管理 要想葡萄高产,施肥是必不可少的,据研究表明,每生产100公斤葡萄,需要消耗纯氮0.75公斤、磷0.75公斤、钾0.63公斤。所以在果实采收后至新梢成熟前施入基肥,一般在花期10-15天追施速效肥,7月果实发育期宜追施基肥,有明显的杂草主要。在花果期喷洒低浓度的硼砂溶液和过磷酸钙溶液,能提高坐果率和产量。在花前要保持土壤湿润,为开花坐果提高有利条件,但是花期不宜浇水,在坐果后果实需要大量的水分,这时要根据气候变化每隔7-10天浇水,但是在果实着色期不宜浇水,以免降低甜度。 以上是葡萄不结果是什么原因介绍,希望能帮助到你。想了解更多的相关知识,敬请关注我们。 |









